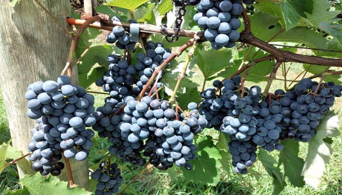
O Instituto de Desenvolvimento Rural do Paraná – Iapar-Emater (IDR-Paraná) está lançando o livro Viticultura Tropical: o sistema de produção de uvas de mesa do Paraná.
Partindo de um detalhado panorama da produção e do mercado da fruta, o livro aborda do planejamento da propriedade e do empreendimento, escolha do terreno e de cultivares, a necessidade de observar os fatores climáticos, boas práticas agronômicas na condução de parreirais e colheita até os cuidados na comercialização.
“É um verdadeiro passo a passo para o sucesso na produção de uvas de mesa, este livro é uma valiosa contribuição da pesquisa pública à viticultura paranaense”, afirma Vania Moda Cirino, diretora de Pesquisa do IDR-Paraná.
A obra que agora chega ao público é uma edição revisada, atualizada e (muito) ampliada do título Viticultura Tropical: o sistema de produção do Paraná, publicado em 2007 pelo Instituto Agronômico do Paraná (Iapar), atual IDR-Paraná, concebida e iniciada pelo pesquisador Antonio Yoshio Kishino, considerado um dos maiores especialistas em viticultura que o Estado já teve.
Kishino tinha os originais bastante avançados quando faleceu precocemente. Os pesquisadores Sergio Luiz Colucci de Carvalho, também do Iapar, e Sergio Ruffo Roberto, da Universidade Estadual de Londrina (UEL), abraçaram então a tarefa de coordenar sua finalização. Para isso, envolveram mais de 30 especialistas em agricultura de várias universidades do Estado e do antigo Iapar.
Desde então, a obra tem sido referência para pesquisadores, profissionais de assistência técnica e extensão rural, professores, estudantes e todos os interessados no cultivo da uva. Agora, passados quase 14 anos do primeiro lançamento, Carvalho e Roberto coordenaram a reedição.
“A procura pela viticultura para a diversificação das atividades agrícolas e promoção do desenvolvimento no campo incentivou a atualização deste livro”, explica Carvalho. “E, mais uma vez presta uma homenagem a seu idealizador, Dr. Kishino, que durante toda a sua vida profissional se dedicou a estudar o tema”.
No trabalho de reedição, Roberto destaca a preocupação de, preservando o rigor técnico, entregar um conteúdo abrangente, de linguagem acessível e fartamente ilustrado - são quase 700 páginas e mais de 500 imagens.
“Foram tantas as alterações e inserções que é um novo livro, podemos dizer”, assinala o professor.
AQUISIÇÃO – Destinado a técnicos, produtores e estudantes de ciências agrárias, o livro Viticultura Tropical: o sistema de produção de uvas de mesa do Paraná custa R$ 150, mais o custo de envio. Para adquiri-lo, o interessado deve enviar uma mensagem para Este endereço de email está sendo protegido de spambots. Você precisa do JavaScript ativado para vê-lo..
SERVIÇO
Livro Viticultura Tropical: o sistema de produção de uvas de mesa do Paraná.
Editores: Antonio Yoshio Kishino (in memorian), Sergio Luiz Colucci de Carvalho e Sergio Ruffo Roberto. (Com AEN)
A Secretaria de Estado da Saúde divulgou nesta segunda dia 1, 2.643 novos casos confirmados e 18 mortes em decorrência da infecção causada pelo novo coronavírus. Os dados acumulados do monitoramento da Covid-19 mostram que o Paraná soma 547.827 casos confirmados e 9.971 mortos em decorrência da doença.
Os casos deste informe referem-se a pacientes que estiveram ou estão com a doença entre dois de junho a 1º de fevereiro de 2021. Os casos por data de confirmação do diagnóstico, ou encerramento (fechamento) do caso no sistema, estão distribuídos nos meses: fevereiro de 2021 são 43 e janeiro de 2021 mais 2.273. Os demais são referentes ao ano de 2020 nos meses de junho 1, agosto 1, setembro 2, outubro 7, novembro 59 e dezembro 257. O detalhamento completo está no arquivo CSV.
INTERNADOS – 1.342 pacientes com diagnóstico confirmado estão internados. São 1.120 pacientes em leitos SUS (588 em UTI e 532 em leitos clínicos/enfermaria) e 222 em leitos da rede particular (94 em UTI e 128 em leitos clínicos/enfermaria).
Há outros 1.236 pacientes internados, 487 em leitos UTI e 749 em enfermaria, que aguardam resultados de exames. Eles estão em leitos das redes pública e particular e são considerados casos suspeitos.
MORTES – A secretaria informa a morte de mais 18 pacientes. São 8 mulheres e 10 homens, com idades que variam de 48 a 91 anos. Os óbitos ocorreram entre 17 de dezembro de 2020 a 1º de fevereiro de 2021.
Os pacientes que morreram residiam em Curitiba (3), Londrina (3), São José dos Pinhais (2). A Sesa registra ainda a morte de uma pessoa que morava em cada um dos seguintes municípios: Apucarana, Arapoti, Cascavel, Foz do Iguaçu, Marechal Cândido Rondon, Piçandu, Peabiru, Presidente Castelo Brando, Toledo, Vera Cruz do Oeste.
FORA DO PARANÁ – O monitoramento registra 4.158 casos de residentes de fora, 77 pessoas morreram. (Com AEN)
Chove chuva, chove sem parar. A melodia do cantor e compositor Jorge Ben Jor embalou o mês de janeiro no Paraná. O Sistema de Tecnologia e Monitoramento Ambiental do Paraná (Simepar) apontou que a precipitação acumulada em oito pontos diferentes do Estado foi de 2.748,6 milímetros (mm). O índice é 151% superior ao mesmo período do ano passado – em janeiro de 2020 foram 1.094,2 mm.
Em relação à média, o aumento também foi significativo, de 67%. No primeiro mês de 2021 choveu 343,5 mm, contra um histórico de 205,7 mm. O levantamento leva em consideração as regionais de Paranaguá, Curitiba, Ponta Grossa, Guarapuava, Londrina, Maringá, Cascavel e Foz do Iguaçu.
“Choveu muito no Paraná por inteiro, em algumas localidades bem acima da média histórica. O principal fator foi o fluxo de umidade no canal da Amazônia para o Sul o País. Janeiro normalmente já é úmido e quente, com essa atividade ficou com ainda mais umidade e calor, resultando em chuvas diárias”, afirmou o meteorologista do Simepar, Reinaldo Kneib.
Ele lembrou que Foz do Iguaçu (Oeste) e Guaraqueçaba (Litoral) bateram recorde de precipitação dos últimos 20 anos. Em Guaraqueçaba foram 810 mm em 31 dias, a cidade que mais choveu em janeiro no Paraná. Em Foz, a vice-líder, o acúmulo foi de 609,6 mm. Guaratuba (571,2 mm), Antonina (513,6 mm) e Santa Helena (400,6 mm) completam o top 5, de acordo com o Simepar.
“Os maiores índices ficaram concentrados no Litoral e no Oeste paranaense”, disse Kneib.
CAPITAL – Com 194,6 mm, Curitiba ficou pouco acima da média histórica, de 185 mm. O resultado, porém, não é suficiente para acabar com o sistema de rodízio de água estabelecido pela Sanepar ainda no ano passado.
“As chuvas foram boas em sua totalidade, já que atingimos a média histórica e a previsão era de que pudesse ficar um pouco abaixo. Isso ajuda na recuperação dos reservatórios, principalmente na Região Metropolitana de Curitiba”, explicou o diretor de Meio Ambiente e Ação Social da Sanepar, Julio Gonchorosky.
“A capacidade dos reservatórios está em torno de 47%, dentro da nossa previsão é chegar ao fim do mês de março com 60%. Aí sim poderemos rediscutir a estratégia de rodízio”, acrescentou.
Em janeiro de 2020 o acumulado de chuvas na Capital foi de 156,6 mm.
CONSCIENTIZAÇÃO – Até lá, Gonchorosky reforça o pedido para que a população seja parceira do Estado no uso racional da água, evitando desperdícios. “A população paranaense é fundamental para podermos superar este momento difícil e recuperar os reservatórios da região de Curitiba”, disse.
PREVISÃO – Segundo Reinaldo Kneib, a chuva deve continuar em fevereiro, mas em menor intensidade, especialmente no Litoral e Interior do Estado. “Será dentro da média, um mês mais calmo”, afirmou. (Com AEN).
A Defesa Civil do Paraná emitiu alerta de temporal para as regiões oeste e sudoeste, nesta segunda dia (1°).
O aviso tem vigência de 6h.
Podem ser registrados raios, vendavais e chuvas intensas.
A orientação é que a população se abrigue em locais seguros e em caso de emergência ligue 199 e 193.
O Paraná recebeu 14 pacientes com Covid-19 vindos de Manaus (AM), na Região Norte do País. O voo com os amazonenses foi operado pela Força Aérea Brasileira (FAB) e pousou às 21h25 no Aeroporto Internacional Afonso Pena, em São José dos Pinhais, na Região Metropolitana de Curitiba (RMC). Eles foram transferidos para tratamento no Hospital do Rocio, em Campo Largo, também na RMC.
De acordo com a Secretaria de Estado da Saúde, o Paraná disponibilizou 18 leitos para acolhimento dos pacientes, mas dois pacientes sofreram complicações no quadro clínico e outros dois não quiseram ser transferidos.
Todos os 14 foram classificados como de alto e médio risco. Os pacientes serão internados em leitos de enfermaria e só serão deslocados para Unidades de Terapia Intensiva (UTI) em caso de piora.
O governo paranaense se colocou à disposição para prestar assistência em saúde aos pacientes da capital do Amazonas, que passa por dificuldades no enfrentamento ao coronavírus. A estratégia é para suprir a demanda gerada com o aumento de hospitalizações na rede pública de Saúde de Manaus. Um novo voo está previsto para acontecer nesta segunda-feira, trazendo mais 18 pacientes ao Paraná.
O governador Carlos Massa Ratinho Junior afirmou que o Estado está preparado para receber esses pacientes para que o sistema de saúde de Manaus possa ser normalizado. “Nos mobilizamos para ajudar com todas as condições que temos aqui. Com muito planejamento, aumentamos a oferta de leitos de enfermaria e UTI para o tratamento da Covid-19 no Paraná. A rede de saúde pública estadual é sólida e tem condições de receber os pacientes do Amazonas sem deixar de atender aos paranaenses”, afirmou.
O secretário de Saúde, Beto Preto, destacou que unir forças para dar suporte aos pacientes no Brasil demonstra a natureza do Sistema Único de Saúde (SUS). "Somos um único país e temos o maior sistema de saúde pública gratuita do mundo. Por isso, não há diferença se o paciente é daqui ou de outro estado, somos o SUS para toda a população”, explicou.
ESTRUTURA – 16 Ambulâncias do Serviço de Atendimento Móvel de Urgência (SAMU) realizaram o transporte de pacientes até o Hospital do Rocio, sendo duas de suporte avançado. Foram mobilizados 50 profissionais da saúde, entre eles médicos, enfermeiros e técnicos para a recepção no Aeroporto Afonso Pena. O Governo do Estado recebeu apoio das prefeituras de São José dos Pinhais e Campo Largo, além de Curitiba, que atuou como parceira.
PARANÁ – Neste domingo, foram confirmados mais 1.899 novos casos e 17 mortes em decorrência da infecção causada pelo novo coronavírus. Os dados acumulados do monitoramento da Covid-19 mostram que o Paraná soma 545.184 casos confirmados e 9.953 mortos em decorrência da doença.
São 1.323 pacientes com diagnóstico confirmado de Covid-19 internados, sendo que 1.101 pacientes estão em leitos SUS (576 em UTI e 525 em enfermaria) e 222 em leitos da rede particular (94 em UTI e 128 em enfermaria). (Com Agência Brasil)
As vítimas da execução no Bairro Santo Onofre foram identificadas pela Polícia Militar na manhã desta segunda dia 1º de fevereiro em Cascavel.
Marcelos Santos de Faria e Paulo Sergio Brizola foram mortos a tiros durante a madrugada de domingo (31). Um terceiro homem identificado como Rayan Peterson Prestes de 23 anos também foi baleado e foi encaminhado ao Hospital Universitário em estado grave.
Eles participavam de uma confraternização em uma casa localizada na Rua Caraíbas quando dois atiradores invadiram o imóvel e abriram fogo contra um dos rapazes, atingindo ele e outros dois homens que ali estavam.
A dupla fugiu do local em um Chevrolet Classic, de cor prata. Havia cerca de 10 pessoas na residência no momento do crime.
As primeiras informações dão conta de que o crime teria motivação passional. (Com Catve).





.png)
























